



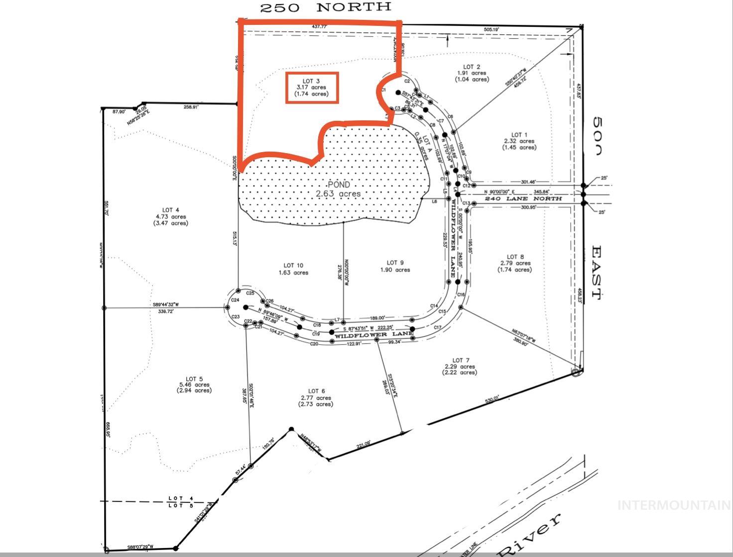
Welcome to Serenity River Estates! If you have been looking for the perfect place to build, this is it! Tucked away in an amazingly peaceful setting, this new subdivision has 10 building lots of various sizes, a 2.64 acre pond with private and shared community access (lot 3 offers 400+ ft of pond frontage) and community river access as well! Minimal CC&Rs will allow for you to have your dream country home with farm animals and full water rights! This property is sure to be the up and coming desired place to live! Serenity River Estates is true to its name, go out and experience it for yourself! Talk with me about our preferred builders or bring your own! Infrastructure will be final and ready for you to start building in the spring so be sure to secure your lot today!
| 2 months ago | Listing updated with changes from the MLS® | |
| 2 months ago | Listing first seen on site |
Did you know? You can invite friends and family to your search. They can join your search, rate and discuss listings with you.