


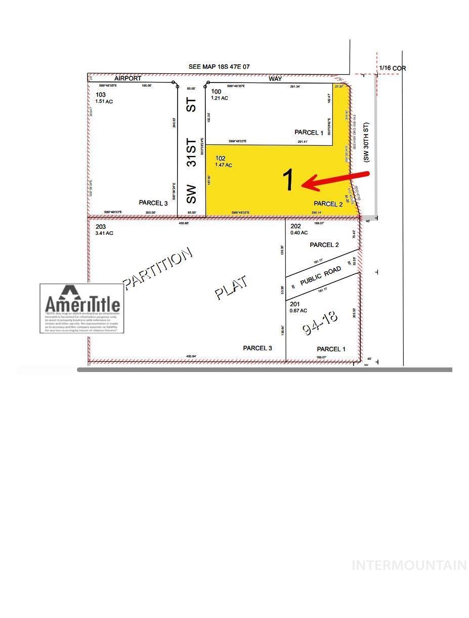
Ontario's Premium Location For Growth Opportunity. Next Airport and Red Eye Cannabis Dispensary. 1.47 Commercial Lot. Water, Sewer, and Electric to Lot Line. Ready for Development. Listed below Tax Market Value!
| 5 days ago | Listing updated with changes from the MLS® | |
| a week ago | Listing first seen on site |
Did you know? You can invite friends and family to your search. They can join your search, rate and discuss listings with you.